
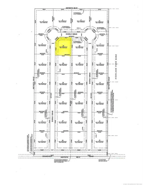
Introducing Tahlequah's newest subdivision. This top-notch development was designed and engineered with the highest quality in mind! Build your desired home on one of the large 1/2 acre lots featuring underground utilities including natural gas, electric, and rural water all available. The extra thick concrete roads are being completed now. YES!!! You read correctly... CONCRETE STREETS!!! Plat, covenants, and restrictions now available. County Taxes. Convenient to Northeastern State University, Hastings, City Hospital, and New Oklahoma State University Medical School. Only a 5 minute drive to Walmart and Reasor's grocery stores!
IDX information is provided exclusively for personal, non-commercial use, and may not be used for any purpose other than to identify prospective properties consumers may be interested in purchasing. Information is deemed reliable but not guaranteed.
Last Updated: . Source: NORES
Provided By
Listing Agent: Brenda Ratliff (#204974)
Listing Office: Coldwell Banker Select (#1860)
Provided By (Buyer)
Buyer's Agent: Brenda Ratliff (#204974)
